További információk
| Település | |
|---|---|
| Telek mérete (m2) | |
| Ingatlan típusa | |
| Alapterület (m2) |
Top Ingatlan mezőkövesd Kft.
topingatlan.net
Az ingatlan.com ajánlott szakértője vagyunk Mezőkövesd és környékén!
Top Ingatlan mezőkövesd Kft.
topingatlan.net
Az ingatlan.com ajánlott szakértője vagyunk Mezőkövesd és környékén!
Top Ingatlan mezőkövesd Kft.
topingatlan.net
Az ingatlan.com ajánlott szakértője vagyunk Mezőkövesd és környékén!
ngatlan.com „Mezőkövesd szakértője”
ngatlan.com „Mezőkövesd szakértője”
24 900 000 Ft
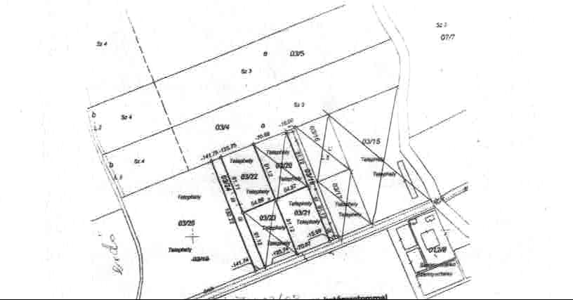
BEFEKTETÉSI LEHETŐSÉG A BÜKK LÁBÁNÁL – IPARI TELKEK ELADÓK BOGÁCSON!
Kiváló lehetőség vállalkozások és befektetők számára!
A Bükk hegység kapujában, Bogács ipari övezetében eladó művelési ág alól kivont, azonnal beépíthető ipari telkek.
Lokáció és megközelítés:
✅ Bogács közigazgatási területén belül, de ipari környezetben
✅ Aszfaltos útról közvetlen lehajtás, a telkekhez zúzalékolt szervízút vezet, közművek: víz, villany.
✅ Kivett beruházási terület, így azonnal fejleszthető
Övezeti besorolás és építési lehetőségek:
🔹 Gksz1 és Gip-1 besorolású gazdasági területek
🔹 Legkisebb telekméret: 5.000 m², min. homlokzati szélesség 50 m
🔹 Legnagyobb beépíthetőség: 30%
🔹 Legnagyobb építménymagasság: 6 méter
Elérhető telkek és árak:
📌 1. telek, Hrsz: 03/21 5.000 m² – 24,9 M Ft
📌 2. telek, Hrsz: 03/22 5.000 m² – 24,9 M Ft
📌 3. telek, Hrsz: 03/25 29.775 m² – 64,9 M Ft
✔ Tehermentes, per- és költségmentes ingatlanok
✔ Ipari fejlesztésre, csarnoképítésre, raktározásra ideális
✔ Azonnali beépíthetőség, gyors projektindítás
💼 Ne hagyja ki ezt a lehetőséget! Ha vállalkozásának stratégiai elhelyezkedésű ipari területre van szüksége, Bogács tökéletes választás!
📞 Érdeklődés és megtekintés: Kérjük, vegye fel velünk a kapcsolatot!
Ha további információra van szüksége, vagy szeretné személyesen is megnézni az ingatlant, ne habozzon, hívjon minket a +36309030558-as telefonszámon!
TOP INGATLANKÖZVETÍTÉS MEZŐKÖVESD KFT.
MEZŐKÖVESD, EGER, MISKOLC és TISZA TÓ KÖRNYÉKÉN
Az ingatlan vásárlást-eladást ügyvédi háttérrel,
energetikai és villamos biztonsági felülvizsgálat tanúsítvány elkészítésével segítjük.
TIKTOK ingatlan videós csatornánk:
https://www.tiktok.com/@topingatlanmezokovesd
További 226db ingatlanjaink:
| Település | |
|---|---|
| Telek mérete (m2) | |
| Ingatlan típusa | |
| Alapterület (m2) |
BEFEKTETÉSI LEHETŐSÉG A BÜKK LÁBÁNÁL – IPARI TELKEK ELADÓK BOGÁCSON!



